Residential Land Survey Services
- Subdivision Layout and Plats
- Utility Extension Design
- Condominiums
- Boundary Surveys
- Concept Plans
- Alternatives Analysis
- Permitting
- Site Plans & Earthwork Calculations
- As-Built Surveys
- Value Engineering
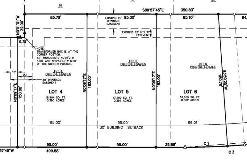
Land Divisions & Subdivision Plats
We can provide initial planning and design services to explore the feasibility of subdividing your property. Depending on the size of your property and the number of lots to create, we will propose a Certified Survey Map or a Subdivision Plat.

Subdivision Plats
If the project creates more than four lots and results in a subdivision plat, we will:
- Create a topographic map for engineering.
- Survey the overall boundary.
- Represent the developer at municipal planning meetings, if requested.
- Provide staking services for grades, roads, and utilities.
- Prepare final plats for recording and set the final lot corners.
Certified Survey Maps
If you are proposing four or fewer lots, we can often use a Certified Survey Map to create the land divisions, which is simpler than a full subdivision plat. During our initial consultation, we can discuss this option. We can work with the municipality to obtain approval, provide final plats for recording, and establish the final lot corners.

Condominium Plats
Our team can prepare condominium plats needed to create and record condos for divided ownership. We begin with a property boundary survey and then measure the exterior and interior of the building or structures being conveyed in the condominium plats. A site plan and 3D plat are prepared to represent individual units, and common elements being created by the condominium. We will work with your attorney to ensure that the plats are sufficient to work properly with the attorney's declaration.
Topographical Land Survey
We can provide a detailed and accurate base map (paper and digital) for the design of new buildings, infrastructure and landscaping. We also provide a 3D digital elevation model of the existing ground surface for engineering and volume calculation needs.
Property Line Survey
Good fences make good neighbors. Call on us to stake your property corners and property lines prior to building or making other improvements near your property lines. If you are not building a fence and just want to know where your deeded property lines are, we can perform a boundary survey and provide a survey map showing the property lines in relation to existing fences or other features near the property lines.
